A guest blog post by Ginny Kerslake

Last summer, following the formation of a series of sink holes in West Whiteland along the route of Mariner East construction at the Lincoln Highway and Chester Valley Trail intersection and the filing of a complaint by a former geologist on the project turned whistle blower, residents asked Chester County to contract an independent assessment of the sink holes and their risk to public safety.
In August 2020 the Commissioners and the Chester County Department of Facilities hired Geostructures, an independent geotechnical engineering firm, to assess the geotechnical impact and sinkhole risk of Mariner East construction to the Chester County Library and Chester Valley Trail.
Completed in December of last year, the report was initially not made public. The final report, obtained in January from the county through a Right to Know Request, only deals with the Chester Valley Trail and Chester County library. You can read the report here.
The report indicates that the pipeline construction completed so far could create serious structural issues for the library building, as well as for the Chester Valley Trail. The report recommends a remedial process to prevent problems down the road, including sudden collapse at the trail where Mariner East passes under and the valve station is located. To date it appears that the County Commissioners have not taken action on this.
Presentation to the Pipeline Safety Advisory Board. On January 28, the president, chief engineer and founder of Geostructures, Dr. Bashar Qubain, presented his company’s findings and recommendations to the county’s Pipeline Safety Advisory Board. This (virtual) meeting was the first one to be open to the public since the Board’s inception in late 2019.
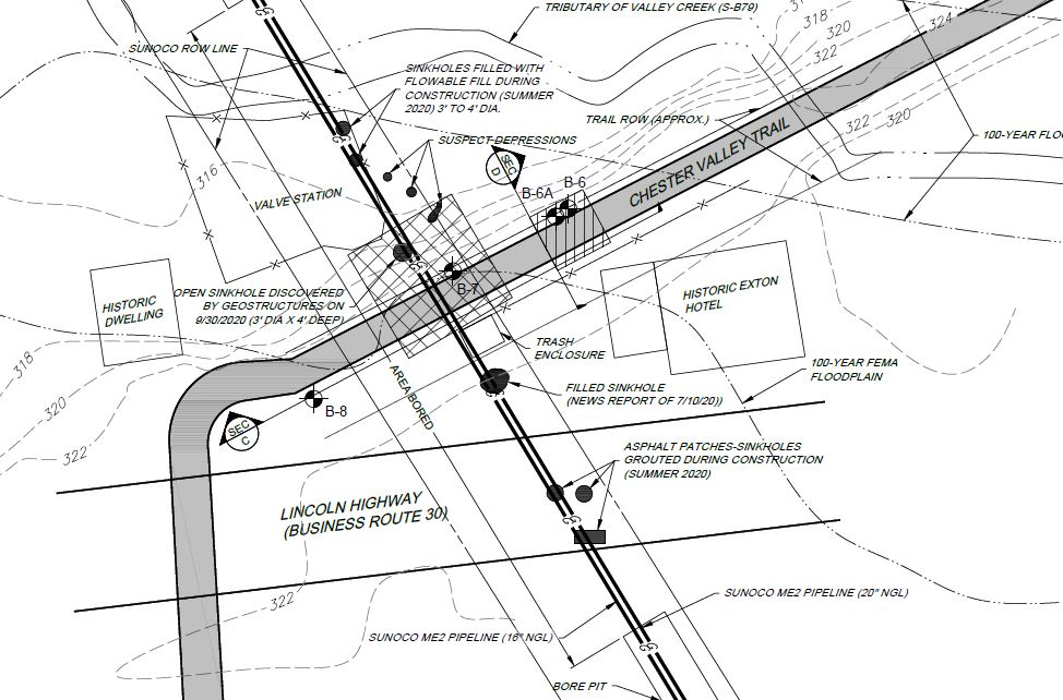
Based on field exploration, drilling at representative locations, United States Geological Survey publications research, and review of available public records on Mariner East construction, Geostructures identified various karst features and weaknesses in the ground and rock at the library and trail properties in the vicinity of Mariner East. These subsurface features include soil-filled and open voids, weathered dolomitic limestone, rock pinnacles, rock ledges and slots. In the vicinity of both the library and the trail, there was extensive sink hole activity due to the weathering of the underlying dolomitic limestone.
- Based on the study of outcrops on the south side of Lincoln Highway and borings drilled at the library, it was concluded that geological beds are almost vertical with a 70o dip. Such steeply inclined beds like these are more likely to produce roughly vertical cylindrical voids, leading Geostructures to conclude that there exists a low risk of large caverns or openings developing. This is corroborated by the relatively small diameter of the sinkholes which developed at Lincoln Highway, which have a maximum diameter of about 4 feet.
- Valley Creek which runs roughly west-east between Lincoln Highway and the library is characterized as an influent stream, infiltrating into the ground and recharging the underlying aquifer. This groundwater recharging nature of Valley Creek and its tributary is a driving factor in sinkhole development.
- Mariner East pipe boring methods are triggering more sinkholes than open cut trenching.
- Mariner East 2 and 2X have been installed very close to the library and the aggregate fill used after open cut trenching could cause water to flow toward the building and impact its foundations.
- It is clear at the Chester Valley Trail site that sinkhole formation was caused by Mariner East construction
- Grouting of sinkholes on Lincoln Highways appears to have been successful
- Without having information from Sunoco nor access to the valve station, it is unknown whether or not the sinkholes in the valve station were remediated at depth and if they are stable.
- Geostructures reported three “suspect features” at the base of the embankment outside the right of way by the valve station. These depressions pose a low to moderate safety risk to the trail as does a new, open sink hole between and trail and the valve station discovered by Geostructures on 9/30/20.
- Bore samples revealed a subsurface slot feature beside the trail northeast of the valve station
- The potential for future disrupting sinkholes exists at these sites. Given the relatively small diameter of voids associated with the steeply dipping beds, this is considered low risk.
- The report concludes that remedial measures are prudent to protect the Chester Valley Trail and Chester County Library and safeguard against potential ground collapses or sinkholes and the obvious safety risks. The recommendations:
- Perform compaction grouting at library and the slot feature beside the trail northeast of the valve station
- Perform excavation and bridging under Chester Valley Trail where Mariner East runs to mitigate sink hole risk and prevent a sudden dropout
The report did not address the risk of damage to the pipelines or valve station from subsidence, nor the issues associated with Mariner East pipe boring construction under the wetlands and Valley Creek, which remains to be completed.
Unanswered questions. Following the presentation of the findings, the members of the Pipeline Safety Advisory Board were allowed the opportunity to ask Dr. Qubain questions. Unfortunately, it appears that they had not read the report beforehand nor did any members have a background in geology. At least some members were unaware of the status of Mariner East construction in that area.
Well-informed members of the public who were in the virtual meeting, however, were not allowed to ask questions until the end of the meeting after Dr. Qubain had been dismissed. They could only ask their questions to the Board, but obviously received no answers. Such questions include:
- Can it be said with a degree of scientific certainty that the limestone beds are steeply inclined throughout the area between Lincoln Highway and the library? Throughout the limestone in the Great Valley through which Mariner east passes? If they are not, is there a possibility of much larger sinkholes?
- What size were the other sink holes mapped by the USGS in the surrounding area near the library and the mall?
- What is the potential risk of sink hole development in other areas in Chester County through which Mariner East passes?
- What risk do the three “suspect features” (depressions) on the embankment pose to the valve station and Mariner East?
- What is the risk of sink hole development at Valley Creek crossing south of the library where Sunoco is extracting groundwater 24/7 and boring, given the causative effects of both groundwater recharge and boring on sink hole development as noted?
- What is the potential for multiple relatively small sinkholes to result in a large sinkhole along Mariner East?
What happens now? Does Chester County intend to take prompt action to ensure public safety and hold Sunoco accountable? Geostructures has recommended remediation to prevent the sudden collapse and associated risk to public safety of County assets, namely the Chester Valley Trail and Chester County Library, which are in regular and substantial use by Chester County residents. The need for this remediation has been the direct result of Mariner East construction and the County must hold Sunoco accountable for remediation in a timely fashion. Furthermore, this study brings forward public safety concerns related to Mariner East beyond the risk to the trail and library that need to be addressed.
What can you do? Email the three Chester County Commissioners (addresses below) and copy Mike Murphy, chair of the Pipeline Safety Advisory Board requesting the County take prompt action on this recommended remediation to stabilize and improve the subsurface conditions and safeguard against potential ground collapses or sinkholes at the trail and library, and at Sunoco’s expense not the taxpayers. Be sure to include any questions or concerns and comments you might have.
Marian Moskowitz: mmoskowitz@chesco.org
Josh Maxwell: jmaxwell@chesco.org
Michelle Kichline: mkichline@chesco.org
Mike Murphy: mmurphy@chesco.org
In a follow-up blog post, Ginny will dig a bit deeper into the issues that this episode raises about role of the Board, the County Commissioners, and the public in reviewing the impact of Mariner East on Chester County.
